Fish Eaters: The Whys and Hows of Traditional Catholicism


``Where the Bishop is, there let the multitude of believers be;
even as where Jesus is, there is the Catholic Church'' Ignatius of Antioch, 1st c. A.D



The Burial Cloths of Our Lord:
The Shroud of Turin and the Sudarium of Oviedo
 




The Shroud of Turin and the lesser-known Sudarum of Oviedo are the two most amazing, literally awesome relics in the History of Christendom. No, I'll go further: they are the most amazing ever artifacts in the History of the universe. The Shroud of Turin, in particular, having been studied in great depth, has left scientists puzzled -- has even turned once skeptical scientists from atheism to Christianity.

What are these marvelous relics? Where do they come from? What is their History? What makes them so special, so intriguing, so scientifically baffling?
And what do they reveal about the One who was enshrouded in them? Answering those questions is what this page is all about.



The History of the Shroud and Sudarium

After Lord Christ was crucified, His Body was taken down from the Cross and, per Jewish custom (and modern Western custom), His Face was covered with a cloth known as "the Sudarium." Then He was wrapped in a 14 feet long, 3˝ feet wide linen shroud -- a sindon -- provided by Joseph of Arimathea.

Because it was the Sabbath, the traditional Jewish burial rituals had to wait until the next day. On that next day, the cloths were removed, and the women cleansed His Body and anointed Him with spices and ointments -- ointments made of aloes and myrrh, as foreshadowed by the gifts of the Magi. His Body was then re-wrapped in the shrouds.

The Shroud and Sudarium are mentioned in all four Gospels. Here is how SS. Matthew and Mark write of them:

 The Gospel According to St. Matthew, Chapter 27:57-60

And when it was evening, there came a certain rich man of Arimathea, named Joseph, who also himself was a disciple of Jesus. He went to Pilate, and asked the body of Jesus. Then Pilate commanded that the body should be delivered.

And Joseph taking the body, wrapped it up in a clean linen cloth. And laid it in his own new monument, which he had hewed out in a rock. And he rolled a great stone to the door of the monument, and went his way.


The Gospel According to St. Mark, Chapter 15:44-47

But Pilate wondered that he should be already dead. And sending for the centurion, he asked him if he were already dead. And when he had understood it by the centurion, he gave the body to Joseph.

And Joseph buying fine linen, and taking him down, wrapped him up in the fine linen, and laid him in a sepulchre which was hewed out of a rock. And he rolled a stone to the door of the sepulchre. And Mary Magdalen, and Mary the mother of Joseph, beheld where he was laid. 


But the last two Gospels say much more. Here are their recountings, with my emphasis in bold:

The Gospel According to St. Luke, Chapter 23:50-56, 24:1-11

And behold there was a man named Joseph, who was a counsellor, a good and just man, (The same had not consented to their counsel and doings;) of Arimathea, a city of Judea; who also himself looked for the kingdom of God.  This man went to Pilate, and begged the body of Jesus. And taking him down, he wrapped him in fine linen, and laid him in a sepulchre that was hewed in stone, wherein never yet any man had been laid. And it was the day of the Parasceve, and the sabbath drew on. 

And the women that were come with him from Galilee, following after, saw the sepulchre, and how his body was laid. And returning, they prepared spices and ointments; and on the sabbath day they rested, according to the commandment.

And on the first day of the week, very early in the morning, they came to the sepulchre, bringing the spices which they had prepared. And they found the stone rolled back from the sepulchre.  And going in, they found not the body of the Lord Jesus. 

And it came to pass, as they were astonished in their mind at this, behold, two men stood by them, in shining apparel.  And as they were afraid, and bowed down their countenance towards the ground, they said unto them: Why seek you the living with the dead?

He is not here, but is risen. Remember how he spoke unto you, when he was in Galilee, Saying: The Son of man must be delivered into the hands of sinful men, and be crucified, and the third day rise again. And they remembered his words.

And going back from the sepulchre, they told all these things to the eleven, and to all the rest. And it was Mary Magdalen, and Joanna, and Mary of James, and the other women that were with them, who told these things to the apostles.

And these words seemed to them as idle tales; and they did not believe them. But Peter rising up, ran to the sepulchre, and stooping down, he saw the linen cloths laid by themselves; and went away wondering in himself at that which was come to pass.


The Gospel According to St. John, Chapter 19:38-41, 20:1-9

And after these things, Joseph of Arimathea (because he was a disciple of Jesus, but secretly for fear of the Jews) besought Pilate that he might take away the body of Jesus. And Pilate gave leave. He came therefore, and took the body of Jesus.

And Nicodemus also came, (he who at the first came to Jesus by night,) bringing a mixture of myrrh and aloes, about an hundred pound weight. They took therefore the body of Jesus, and bound it in linen cloths, with the spices, as the manner of the Jews is to bury.

Now there was in the place where he was crucified, a garden; and in the garden a new sepulchre, wherein no man yet had been laid.  There, therefore, because of the parasceve of the Jews, they laid Jesus, because the sepulchre was nigh at hand.

And on the first day of the week, Mary Magdalen cometh early, when it was yet dark, unto the sepulchre; and she saw the stone taken away from the sepulchre. She ran, therefore, and cometh to Simon Peter, and to the other disciple whom Jesus loved, and saith to them: They have taken away the Lord out of the sepulchre, and we know not where they have laid him.

Peter therefore went out, and that other disciple, and they came to the sepulchre. And they both ran together, and that other disciple did outrun Peter, and came first to the sepulchre. And when he stooped down, he saw the linen cloths lying; but yet he went not in.

Then cometh Simon Peter, following him, and went into the sepulchre, and saw the linen cloths lying, And the napkin that had been about his head, not lying with the linen cloths, but apart, wrapped up into one place. Then that other disciple also went in, who came first to the sepulchre: and he saw, and believed. For as yet they knew not the scripture, that he must rise again from the dead.

In the last two Gospels, it's made clear that seeing the Shroud cloth and the "napkin"  -- which we know as the "sudarium" -- left SS. Peter and John in a state of wonder. It wasn't the otherwise empty tomb that had that effect; they knew it would be empty; St. Mary Magdalen had told them it was. And they'd assumed, as Mary Magdalen had assumed, that "they had taken away the Lord out of the sepulchure." But upon encountering the cloths, they "saw, and believed"; they realized that Jesus had risen from the dead, something they hadn't been expecting.
 


Provenance

What happened to those two burial cloths after the Resurrection is a crucial issue in demonstrating that the Shroud of Turin is not a medieval hoax, as so many want to believe. Many doubters reject that the Shroud is genuine because of Carbon-14 testing that made headlines in 1988. That testing dated the Shroud to the 14th century, and some think it's the final word. But the problems with the test are these:

1. There was a great fire in the chapel in which the Shroud was kept for a time, a fire that resulted in the Shroud itself becoming scorched, a fact that could easily skew Carbon-14 test results.

2. In 1532, after the fire in the chapel that kept the relic, repairs were made to some parts of the Shroud by nuns, who patched it in thirty different places. The tiny samples used by those who conducted the Carbon-14 test were, according to Dr. Ray Rogers, Los Alamos Scientific Laboratory chemist, taken precisely from those medieval patches. From his 2005 paper in the professional journal ThermoChimica Acta, "Pyrolysis-mass-spectrometry results from the sample area coupled with microscopic and microchemical observations prove that the radiocarbon sample was not part of the original cloth of the Shroud of Turin. The radiocarbon date was thus not valid for determining the true age of the shroud."

In other words, to sum up, they tested the wrong part of the Shroud, a fact verified again in 2019 by further analysis of the original study. French researcher, T. Casabianca, author of the paper "
Radiocarbon Dating of the Turin Shroud: New Evidence from Raw Data" (pdf), had this to say in an interview with L'Homme Nouveau:

In 1989, the results of the shroud dating were published in the prestigious journal Nature: between 1260 and 1390 with 95% certainty. But for thirty years, researchers have asked the laboratories for raw data. These have always refused to provide them. In 2017, I submitted a legal request to the British Museum, which supervised the laboratories. Thus, I had access to hundreds of unpublished pages, which include these raw data. With my team, we conducted the analysis. Our statistical analysis shows that the 1988 carbon 14 dating was unreliable: the tested samples are obviously heterogeneous, [showing many different dates], and there is no guarantee that all these samples, taken from one end of the sheet, are representative of the whole fabric. It is therefore impossible to conclude that the shroud of Turin dates from the Middle Ages.

To read more about the problems with the Radiocarbon-14 testing done on the Shroud, please see these studies: "Studies on the Radiocarbon Sample from the Shroud of Turin" (pdf) and "What Went Wrong With the Shroud's Radiocarbon Date? Setting it all in Context". And please watch the Discovery Channel Documentary embedded below in the "Images and Videos" section of this page.

Later, chemical tests were carried out by University of Padua laboratories and verified that the above results. This research, published in 2013, used Fourier Transform Infrared Spectroscopy (FTIR) and Raman spectroscopy, giving the results of 300 BC + 400 years and 200 BC + 500 years respectively.3


And in 2024, the Institute of Crystallography of the National Research Council conducted research which once again dated the shroud to the time of Jesus.

But some people just remember the (of course) gloating newspaper headlines regarding the erroneous Carbon-14 testing, and the problems with the testing are ignored, especially by those who don't want to believe in the Shroud's authenticity, or who, laboring under the dictates of scientism, reject that possibility on principle.

Because all of this is so, focusing on the History of the Sudarium is most important, because its provenance is much more clear than that of the Shroud. Then, if the Sudarium can be shown to pre-exist the medieval era, and if it can be shown to have been concomitant with the Shroud of Turin, then even the most skeptical-minded will finally have to concede that the headlines relating to the 1988 Carbon-14 test were erroneous. The only real stumbling block to accepting the fact that the Shroud of Turin is, in fact, at least a 1st century burial shroud, if not the burial shroud of the Lord Jesus Christ Himself, crumbles away to dust.

And both of the above are true: the Sudarium is ancient, and it had been in contact with the Shroud of Turin. So I begin this section on provenance by talking about the Sudarium of Oviedo.



Provenance of the Sudarium

The first written record of the Sudarium comes from the 12th century Liber Testamentorum, a book written by Bishop Pelayo of Oviedo, Spain. In it, he writes of how Christ's followers had made an ark, out of oak, to hold various relics, the Sudarium among them. This ark was kept in Jerusalem for 500 years until Muslims attacked the city in A.D. 614. A Christian Palestinian priest named Philip took the ark and fled with it to Alexandria, Egypt. But the Muslims warred their way there, too, and so it was taken to Seville, Spain. The ark was then taken to Toledo in A.D. 657, where it remained until A.D. 711 or 718. The discrepancy in dates is due to a second text, Chronicum Mundi, written by the Bishop of Tuy. Pelayo's text gives the latter date and the Bishop of Tuy's text gives the former date as being when the ark was taken from Toledo to Monte Sacro in Asturias.

In any case, the ark stayed one step ahead of Muslim invaders, always being carried off to safety before it could be destroyed. But then began the Reconquista, the taking back of Spain from Muslim jihadists. Alfonso II, King of Asutrias, conquered the Muslims in his area, and then ruled from Oviedo, where he built the Cathedral of San Salvador to hold the ark. Christians made pilgrimage to revere the Sudarium, typically while journeying to Santiago de Compostela to revere the relics of St. James. A medieval saying of the time was,

    Qui a este a Sainct Jaques
    Et n’este a Sainct Salvateur
    A visite le serviteur
    Et a laisse le seigneur.

    Who has been to St. James
    And not to San Salvador
    Visits the servant and
    Neglects the master.

The Sudarium can be venerated in the Cámara Santa (Holy Chamber) of Oviedo's cathedral to this day.

Summary: The Sudarium of Oviedo is most definitely not a medieval artifact. It has a long History, going back to Jerusalem.



The Provenance of the Shroud of Turin

The History of the Shroud, or the "Sindon," is much less clear-cut.

The "Pray Codex," a manuscript written between A.D. 1192 and 1195 and now kept in the National Széchényi Library of Budapest, Hungary, contains a Missal, along with a Mystery Play and secular material, but what's of interest here is its depiction of the Burial and Resurrection of Lord Christ. In the part of the picture that depicts His Burial, His Body is shown as His Body is shown on the Shroud -- e.g., hands over the groin, etc. That's not much evidence in itself; there are only so many ways a body can be laid out, and modesty invites the covering of the genitals. But Christ's thumbs are not visible in this illustration, reflecting their not being visible on the Shroud, and, more importantly, the Resurrection portion of the illustration, at the bottom, shows a shroud that is very similar to the Shroud of Turin, from the herringbone weave of the linen to the L-shaped pattern of four holes, which perfectly matches those found on the Shroud:


Click to enlarge


Close-ups of the L-shaped patterns on the Pray Codex illustration and on the Shroud:




One Sir Geoffrey de Charny is said to have acquired the Shroud when on a Crusade in Constantinople (now Istanbul), but however he obtained it, it was then that the Shroud enters into textual History. By at least April of A.D. 1349, Sir Geoffrey had the Shroud in his possession in Lirey, France. There it was highly venerated, with pilgrims journeying from afar to see it. The badge worn by those pilgrims bore the following image, as drawn
by Arthur Forgeais in 1865:



After the death of Sir Geoffrey's son, his daughter, Margaret, took possession of the Shroud. Then, upon her death, she left it to the House of Savoy.

Between 1473 and 1578, the Shroud was taken all over Europe by members of the House of Savoy, moving with them as they traveled about, each move historically accounted for.
It was while it was in the House of Savoy's care, in A.D. 1532,  while kept in a chapel in Savoy's capital, Chambéry, that the fire that damaged the Shroud took place. Melted silver dropped onto the Shroud, which was folded, producing the large, symmetrical burn holes that are easily visible. Poor Clare nuns tried to repair the Shroud by patching it, those thirty patches they used being the source material used in the Carbon-14 testing that so many think disproves the Shroud's authenticity.

Then, in 1578, it was taken to Turin, Italy, where it now resides.
 



The Science of the Shroud and the Sudarium

In this sub-section, I'll reverse the order of things and look at the Shroud first.



The Science of the Shroud of Turin

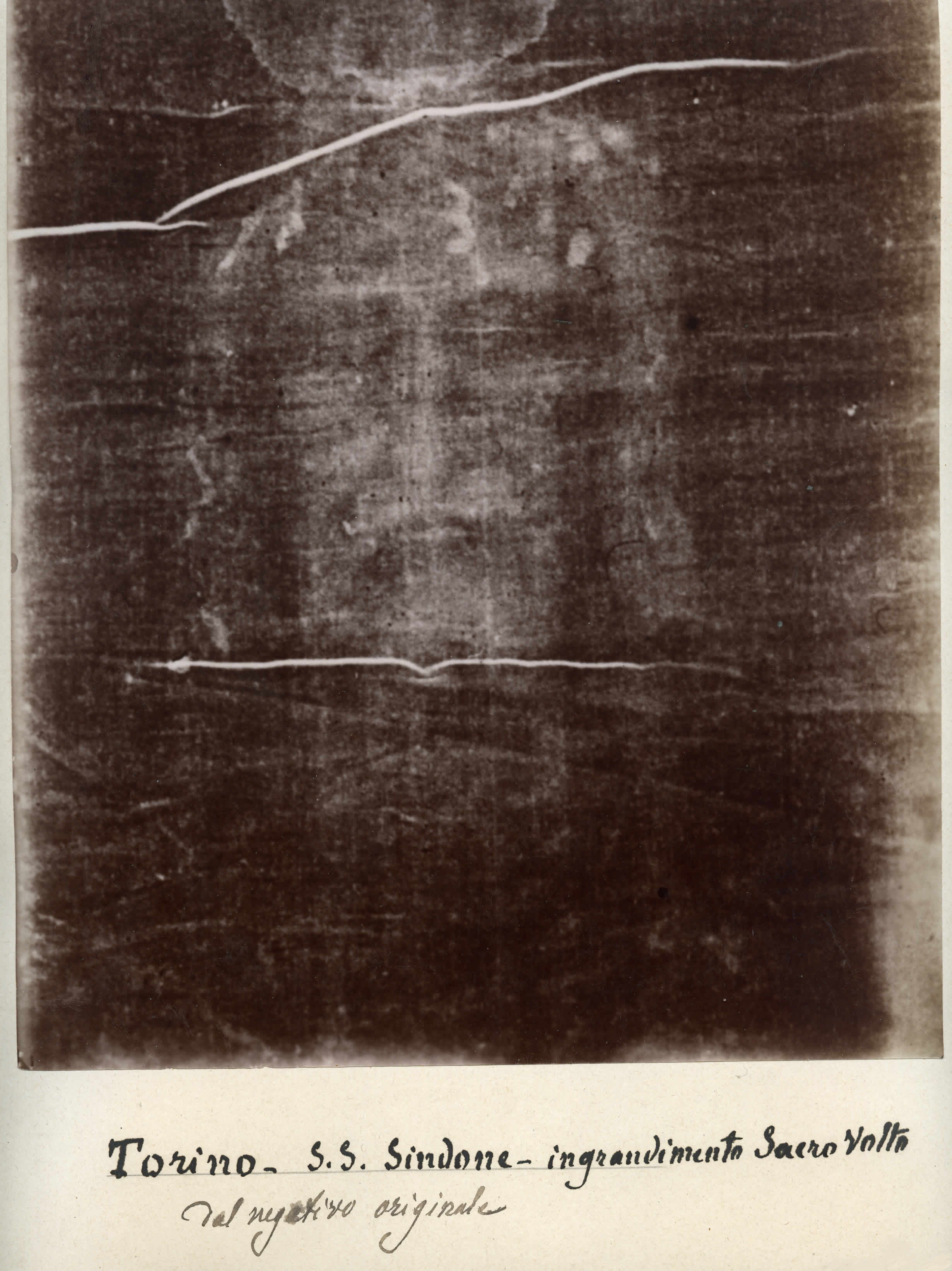
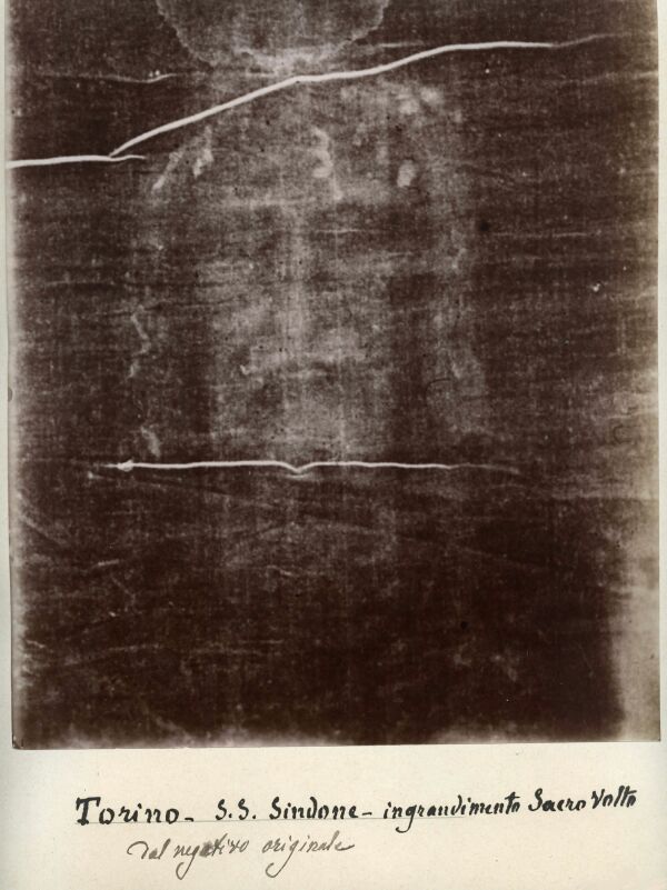
On May 28, 1898, an Italian lawyer and photography hobbyist named Secondo Pia took a picture of the Shroud. What he saw after developing the image shook up the world: it was revealed that the Shroud acts as a photographic negative, which, when photographed, shows a "positive" image. Here is Signor Pia's original photograph, the picture that inspired the entire field of "sindonology," or the scientific study of the Shroud of Turin:



Click to enlarge


Scientists began taking the Shroud seriously. Yves Delage, professor of anatomy at the esteemed Sorbonne in Paris, examined the photographs of the entire Shroud and presented his conclusions to the Academy of Sciences, an incident described in I. Wilson's "The Evidence of the Shroud":

Yves Delage, professor of anatomy at the Paris Sorbonne, gave a lecture to the French Académie des Sciences in which he claimed that the Shroud body image and wounds are physiologically so flawless and meaningful that he found it impossible to believe they could be the work of an artist. To the scandal of his rationalist colleagues, who had always known him as an agnostic, Delage said he found no difficulty in believing that the body wrapped in the Shroud was that of Jesus.

He told the Academy, simply, "The man of the shroud was the Christ."

In 1950, a surgeon, Dr. Pierre Barbet, who'd also been a battlefield surgeon during WWI, wrote, "A Doctor at Calvary" which reveals what he determined about the Man Who was wrapped in the Shroud. You can read this book in pdf format here. Interestingly, the Man on the Shroud was nailed through His wrists, not the palms of His Hands. This is especially noteworthy because artistic depictions of the Crucifixion invariably show the nails going through His Hands. Further, there is historical and anatomical evidence that crucifixion would have had to have been conducted by nailing through the wrists. Driving nails through the palms of the hands would result in their tearing through the flesh, whereas when driving the nails through the wrists, the bones of the wrists would prevent that. Well over 100 whip marks are shown on the Shroud along with the wounds consistent with those that would have been made by the Crown of Thorns.

The Blood on the cloth lies under the image of the Man. In other words, the Man's Blood saturated the cloth just after death, and the image of that Man was formed at a later time.

In 1972, Peter Schumacher of Interpretations Systems Incorporated (ISI) invented the VP8 Image Analyzer, an analog computer that computes brightness maps seen as imaging. This computer is -- or at least was at the time -- used by NASA to map the terrain of planets. In 1976, Air Force Captains and Air Force Academy Professors John Jackson (professor of Physics) and Eric Jumper (professor of Thermodynamics), together with photographer William Mottern and along with Schumacher, used this computer to analyze the Shroud and found something startling. This is what they discovered when they analyzed an image of the Shroud, in the words of Schumacher:

When the pseudo-three-dimensional image display (“isometric display”), was activated, a “true-three-dimensional image” appeared on the monitor. At least, there were many traits of real three-dimensional structuring in the image displayed. The nose ramped in relief. The facial features were contoured properly. Body shapes of the arms, legs, and chest, had the basic human form. This result from the VP-8 had never occurred with any of the images I had studied, nor had I heard of it happening during any image studies done by others. I had never heard of the Shroud of Turin before that moment. I had no idea what I was looking at. However, the results are unlike anything I have processed through the VP-8 Analyzer, before or since. Only the Shroud of Turin has produced these results from a VP-8 Image Analyzer isometric projection study...

...The Shroud image induces a response in the isometric display of a VP-8 Image Analyzer that is unique. Each point of the Shroud body image appears at a proper “elevation”. Is this due to the distance the cloth was from a body inside it? Is this due to the density of the human body at various points in the anatomy? Is it a result of radiant energy? These questions cannot be answered by the VP-8 Image Analyzer. However, the related theories can be rightfully posed. The isometric results are, somehow, three-dimensional in nature. The displayed result is only possible by the information (“data”) contained in the image of the Shroud of Turin. No other known image produces these same results.

If one considers the Shroud image to be “a work of art” of some type, then one must consider how and why an artist would embed three-dimensional information in the gray shading of an image. In fact, no means of viewing this property of the image would be available for at least 650 years after it was done. One would have to ask, (assuming this is a “natural result” in some style or type of art), “Why isn’t this result obtained in the analysis of other works?”...

...I cannot explain, nor can I confirm, the results of the Carbon dating tests. I can only claim that the image on the Shroud of Turin required a human body that had been tortured as Christ was tortured, and murdered as Christ was murdered. I can claim that the body is not there, but the image is there.4

In March of 1977, Jackson, Jumper and Mottern formed the Shroud of Turin Research Project, Inc. (STURP). Joining them were nuclear physicist Tom D'Muhala, thermal chemist Raymond N. Rogers, Don Lynn of the Jet Propulsion Laboratory, biophysicist John Heller, photographers Vern Miller and Barrie Schwortz, optical physicist Sam Pellicori, electric power experts John D. German and Rudy Dichtl, forensic pathologist Robert Bucklin, and many others. In 1978, they were given unprecedented access to the Shroud, and after two years of study, they gave the official summary of their findings in 1981. The text of that summary:

No pigments, paints, dyes or stains have been found on the fibrils. X-ray, fluorescence and microchemistry on the fibrils preclude the possibility of paint being used as a method for creating the image. Ultra Violet and infrared evaluation confirm these studies. Computer image enhancement and analysis by a device known as a VP-8 image analyzer show that the image has unique, three-dimensional information encoded in it. Microchemical evaluation has indicated no evidence of any spices, oils, or any biochemicals known to be produced by the body in life or in death. It is clear that there has been a direct contact of the Shroud with a body, which explains certain features such as scourge marks, as well as the blood. However, while this type of contact might explain some of the features of the torso, it is totally incapable of explaining the image of the face with the high resolution that has been amply demonstrated by photography.

The basic problem from a scientific point of view is that some explanations which might be tenable from a chemical point of view, are precluded by physics. Contrariwise, certain physical explanations which may be attractive are completely precluded by the chemistry. For an adequate explanation for the image of the Shroud, one must have an explanation which is scientifically sound, from a physical, chemical, biological and medical viewpoint. At the present, this type of solution does not appear to be obtainable by the best efforts of the members of the Shroud Team. Furthermore, experiments in physics and chemistry with old linen have failed to reproduce adequately the phenomenon presented by the Shroud of Turin. The scientific concensus is that the image was produced by something which resulted in oxidation, dehydration and conjugation of the polysaccharide structure of the microfibrils of the linen itself. Such changes can be duplicated in the laboratory by certain chemical and physical processes. A similar type of change in linen can be obtained by sulfuric acid or heat. However, there are no chemical or physical methods known which can account for the totality of the image, nor can any combination of physical, chemical, biological or medical circumstances explain the image adequately.

Thus, the answer to the question of how the image was produced or what produced the image remains, now, as it has in the past, a mystery.

We can conclude for now that the Shroud image is that of a real human form of a scourged, crucified man. It is not the product of an artist. The blood stains are composed of hemoglobin and also give a positive test for serum albumin. The image is an ongoing mystery and until further chemical studies are made, perhaps by this group of scientists, or perhaps by some scientists in the future, the problem remains unsolved.

The Shroud is most assuredly not a painting. It had been in contact with the corpse of a man -- likely Semitic, according to the paper "Computerized Anthropometric Analysis of the Man of the Turin Shroud" (pdf) -- who'd been tortured and crucified. It is stained with Blood, which underlies the image. Unlike other images, it acts as a photographic negative, and is somehow "encoded" with topographical, three dimensional modeling information. How the image was made cannot be adequately explained, though research -- described in the papers "Coloring Linens With Excimer Lasers to Simulate the Body Image of the Turin Shroud" (pdf) and "Deep Ultraviolet Radiation Simulates the Turin Shroud Image" (pdf) produced by the University of Padua's Department of Mechanical Engineering -- concludes:

[R]esults...do not exclude the possibility that the body image on the Shroud was generated by a burst of UV or VUV radiation, in agreement with the Jackson theory of image formation. However, more investigations are still necessary to unveil the origin of the body image on the Shroud, which still represents a “challenge to the intelligence”.

And while the image of the Man is on the very surface of the Shroud, the Blood stains soak through the linen, saturating it through and through.5 The blood type found on the Shroud, AB, 6 is the rarest blood type, existing in 4% of the global population, and even less commonly in Europe -- but, interestingly, was apparently once common in Jerusalem: in 1977, a study was made to determine the blood types of 68 skeletons found in and around Jerusalem and determined to be Jewish. These skeletons were between 1,600 and 2,000 years old, and of the 55 whose blood types could be determined, more than half were of the otherwise rare AB blood group. 7



The Blood shed for us, for the remission of sins!
This particular Blood stain is from a wound on His back, the result of scourging.
The blood type on the shroud matches the blood type found in various Eucharistic miracles, such as that of Lanciano.


In June of 2017, in the paper “New Biological Evidence from Atomic Resolution Studies on the Turin Shroud," published in the journal PlosOne, Elvio Carlino, a researcher at the Institute of Crystallography, working under the auspices of Italy’s National Research Council and the University of Padua’s Department of Industrial Engineering, writes of his discovery that the Shroud contains high levels of certain nanoparticles visible only since recent developments in the field of electron microscopy. High levels in a human body of these specific nanoparticles -- creatinine (a by-product of the breakdown of creatine phosphate in muscles) and ferritin (a protein) -- are indicative of severe trauma and a lack of oxygen. University of Padua professor Giulio Fanti said simply, "the presence of these biological nanoparticles found during our experiments point to a violent death for the man wrapped in the Turin Shroud."

Because of its age and history of public exhibitions, there is a lot of DNA contamination of the Shroud. Gianni Barcaccia, one of the Italian researchers who examined the Shroud for DNA evidence, said that the mitochondrial DNA most present, though, was from the Middle East, a type that is "rare in western Europe, and it is typical of the Druze community, an ethnic group that has some origin in Egypt and that lives mainly in restricted areas between Syria, Jordan, Lebanon, Israel, and Palestine." 8

Analysis of the pollen found on the Shroud shows a Palestinian origin, before the 8th century.9
See footnote 3 on this site's Mary Gardens page for more information about and pictures of the flowers and other plants whose pollen was found on the Shroud.

 

The Science of the Sudarium of Oviedo

Studies on the Sudarium only began in A.D. 2000.

Pollen analysis of the Sudarium shows the same Palestinian origins as the Shroud of Turin
10 while reflecting their differing journeys into Europe, with the Sudarium having African pollen which the Shroud does not, and the Shroud having pollen from Turkey which the Sudarium does not.

More importantly, the Blood on the Sudarium is of the same rare type as that found on the Shroud -- AB -- and the

[b]loodstains on the Sudarium show geometric correspondence to those on the Shroud of Turin, consistent with the idea that they wrapped the same person.11

Catholic World Report explains,

Alan Whanger, professor emeritus of medicine at Duke University, found similarities in the blood stains on the two cloths by using a polarized image overlay technique. He noted 70 congruent patterns on the face and more than 50 on the back of the head and neck. Furthermore, when the image on the Shroud was placed over the stains on the Sudarium, there was an exact correlation between the stains on the Sudarium and the image of the beard of the man on the Shroud.12

The book, "The Oviedo Cloth," by Mark Guscin, reveals the evidence of the Crucifixion, as recorded by the Sudarium of Oviedo:     

The main stains consist of one part blood and six parts pulmonary oedema fluid. This is very significant because it helps confirm that Jesus died from asphyxiation. It is the generally accepted opinion that people who were crucified died from asphyxiation…. When a person dies this way his lungs are filled with fluid from the oedema. If the body is moved or jostled, this fluid can come out through the nostrils.

It is precisely this kind of stain that forms the central group of stains on the Sudarium. The stains were superimposed on each other, i.e. after the first stain was formed, enough time passed for it to dry before the cloth was stained again, leaving the borders of each stain clearly visible.



Summary

Pollen and textile evidence reveals that the Sudarium and the Shroud originated in Palestine and took different routes to Europe. While the Shroud was carbon dated to the 14th century, that result must be rejected as a sampling error, and historical and all other scientific evidence, including the results of more recent dating techniques, indicates a much older date of origin.

The Sudarium and Shroud covered the same person, and together they describe a 5'9" tall, 175 pound, muscular, bearded, mustachioed, long-haired Semitic man with the rare Type AB Blood who'd been scourged, beaten, crucified by having nails driven through His wrists and feet -- two nails through the wrists, one through both feet -- and by enduring a puncture wound through the right hemithorax, entering through the fifth intercostal space and exiting next to the spine and right shoulder blade.13 From this wound flowed two types of fluid, one being Blood, the other serous, resembling water.

His left foot sat on top of His right foot when He was crucified. His thumbs are not visible, having been flexed as in reaction to nerve damage. Blood flow from the wrists is directed toward the elbows, indicating His arms had been in an upright position.

Both the right and left shoulder blades were abraded, consistent with the Man's having been forced to carry a heavy object that rubbed against His Flesh there as He walked.

His Body is covered with at least 120 whip marks, made by a flagrum-style implement (a whip with many barbed strands), and His scalp shows numerous (more than 50) pucture wounds, as would occur after having been crowned with a crown of thorns.

He died from asphyxiation, His Heart giving out, causing His lungs to fill with fluid which exited His Body through His nostrils. When He died, His Head was lying against His right arm.

His legs were unbroken, unlike the legs of almost all most others executed by crucifixion (breaking of the legs was done to make the condemned die more quickly since it took away the possibility of their being able to push themselves up by their legs in order to breathe more easily). This is in accordance with the New Testament, prophecy, and Biblical typology: John 19:31-34, Exodus 12:46, Numbers 9:12, and Psalm 33:21 (Psalm 34:20 in Bibles with Masoretic numbering).

Rather than being left on the Cross as most victims of crucifixion were, His Body was removed per Jewish customs.


His Face was covered by the Sudarium after death. The Sindon was wrapped over His Face and Body afterward. Later, the burial cloths were removed, He was annointed, honored with flowers (see Footnote 3 of this site's page on Mary Gardens to see some of the flowers found), and then re-covered with the Sindon. Both of these cloths reveal the same Blood staining patterns which are made with Blood of the same rare blood type.

The means by which the image came to be on the Shroud -- said image being on top of the Blood stains and, so, being formed later than the stains -- are unexplained -- perhaps unexplainable -- by science (for a summary of the existing science, see the pdf file "List of evidences of the Turin Shroud").
 




BBC Documentary: The Shroud of Turin



Discovery Channel Documentary: The Shroud of Turin




The Shroud and the Jew: Barrie Schwortz at TEDx



For More Information

Off-site links will open in new browser windows:

Shroud of Turin Website
The Santa Sindone Official Website (Italian)  The site in English
National Geographic: Why Shroud of Turin's Secrets Continue to Elude Science
Atomic resolution studies detect new biologic evidences on the Turin Shroud
Shroud of Turin Real? Debate Resurrected
BBC Science: Turin shroud 'older than thought'

The Cathedral of Turin (Il Duomo di Torino)


Information about visiting the Turin Cathedral:

Address:

Museo della Sindone
via San Domenico 28
10122 Turin

Museum Hours:

Open daily from 8:00-12:00 and 3:00-7:00

Please note that the Shroud itself is only displayed rarely, but the museum contains replicas and all sorts of artifacts and displays relevant to sindonology.

See also this site's page on Devotion to the Holy Face.
 



Footnotes:

1 "Errors are Feared in Carbon Dating,"  New York Times. By Malcolm W. Browne. Published: May 31, 1990. URL: http://www.nytimes.com/1990/05/31/us/errors-are-feared-in-carbon-dating.html. Retrieved October 8, 2016.

2 "Radio Carbon Dating," by: Grahame Johnston - Updated: 15 May 2016. URL: http://www.archaeologyexpert.co.uk/radiocarbondating.html. Retrieved October 8, 2016.

3 "Non-destructive dating of ancient flax textiles by means of vibrational spectroscopy" by Giulio Fanti, Pietro Baraldi, Roberto Basso, and Anna Tinti. "Vibrational Spectroscopy" 67:61–70ˇ July 2013. The paper ends with the words,

Image-fibers of the TS present a very corrugated PCW that can be related to a SCW shrinking, probably due to an intense source of radiation. Both Corona Discharge and Excimer Lasers experiments performed to color modern flax fibers are able to reproduce this behavior, thus confirming the hypothesis of a TS body image formation related to an intense burst of energy.

and "Mechanical ond opto-chemical dating of the Turin Shroud" by Giulio Fanti, Pierandrea Malfi, Fabio Crosillam, MATEC Web of Conferences, Vol. 36, Article 01001 (2015).

4 "Photogrammetric Responses From The Shroud of Turin," by Peter Schumacher. URL: https://www.shroud.com/pdfs/schumchr.pdf

5 A Detailed Critical Review of the Chemical Studies on the Turin Shroud: Facts and Interpretations," by Thibault Heimburger, M.D.. URL: https://www.shroud.com/pdfs/thibault%20final%2001.pdf

6 "Blood on the Shroud of Turin" An Immunological Review," by Kelly P. Kears. URL: https://www.shroud.com/pdfs/kearse.pdf

7 https://www.ncbi.nlm.nih.gov/pubmed/888938

8 Source: http://www.newser.com/story/214960/dna-tests-open-more-shroud-of-turin-mysteries.html

9 Source: https://www.sciencedaily.com/releases/1999/08/990803073154.htm

10 Source: http://international.ucam.edu/university-news/ucams-researchers-have-found-scientific-
evidence-places-shroud-oviedo-and-shroud-turin-same

11 Source: https://www.shroud.com/heraseng.pdf

12 Source: http://www.catholicworldreport.com/Blog/3783/the_other_shroud_of_christ.aspx

13 https://www.ucam.edu/noticias/cientificos-identifican-la-lanzada-al-cadaver-que-fue-envuelto-en-la-sabana-santa-y-el


Back to Being Catholic
Index